いいもん見ちゃった~♪
2015/06/10 :ダイビング
よつだ
水温28度
久しぶりの海~♪
今日もお天気最高~☆
今日はパラッパさんに乗合させていただきました♪
1ダイブ目は《嘉弥真島北》
サンゴ・ガレ場・アーチなどとっても楽しいポイントでした☆
前にいたチームが何やらかわいいものを見ているではありませんか~(>▽<)
全長5センチほどのイカの赤ちゃんが(≧▽≦)
かわいすぎる~!!(*ノωノ) 持って帰りたくなりました☆

そしてアーチでは太陽の光が降り注いで幻想的な世界☆


2ダイブ目は《小浜北》
ここでは☆いいもん見ちゃいました~♪
1ダイブ目で先輩ガイドさんにミミイカの卵がハッチアウトするところを見せていただいて感動☆
そしてちょうど2ダイブ目もミミイカの卵がありそうなガレ場☆
となれば自分たちも探してみましょう~♪とガレ場にへばりついて石をひっくりかえし続けました☆
本日のゲストNさんはすぐに見つけられるのに私はというと。。。(>_<)
でもやっと来ました~!!
卵☆発見!!
一粒は5mmくらいでしょうか、その一つ一つに目がはっきりと確認できます(*’ω’*)

すると、突然☆
一気にハッチアウトしていくではありませんか~!!
こんなの見たの初めてで、めっちゃテンション上がってしまいました(>▽<)
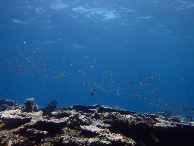
3ダイブ目は《野原崎ケーブ》
こちらではのんびりダイビングを楽しんできました~☆
太陽の光に照らされたサンゴに沢山のスズメダイ♪
そんな景色を眺めながら泳ぐだけでとっても癒されました~(*´▽`*)

今日は初めてのポイントや初めて見るものでテンション上がりっぱなし(´▽`*)
ステキな1日でした~☆
あー今日も楽しかった(*’▽’)























最近のコメント