雅なギンポ現る。
2025/05/31 :ダイビング, ブログ
水温 27℃
本日のポイント
1本目 石垣島 ハナゴイリーフ
2本目 石垣島 アカククリの根
3本目 浜島 天竺
皆さんこんにちは。びっきー事、響です。
今日は島周りから天竺へ!
今年初の天竺ですね。
解禁後はキンメモドキがいっぱいつくので楽しみにしてました。

最近ここがお気に入り。
日によってはカメの下からクレナイニセスズメが出入りしてます。
多分、「なんか急に屋根伸びたな~」と思ってるんじゃないかと。

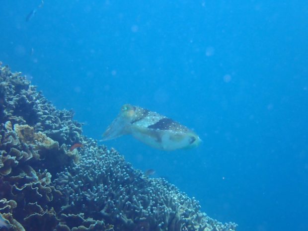
コブシメちゃん。今日は5杯。。
また増えるんかい!
これは1年中いる年になるかもしれません。
もう6月ですよ?

最近家出しがちなハダカハオコゼ君。
今日は裏の方に居ました。
もしかして脱皮した?

ヤシャハゼのヤッシー。
おチビちゃんが増えてきてますが、やはり見やすいのはこのサイズ。
この長いヒレはちょっと重そうですね。

コンニチハ。
肩幅が相変わらず凄いですね。
いかり肩の極みです。

ミヤマウミウシかコヤマウミウシかパイナップルウミウシか。。。
謎は深まるばかりです。

そしてキンメモドキはモリモリ。
ちょっと動くたびにブワッブワッ!
もうね、根に着く魚が見えません。

コチラの気になるギンポちゃん。
なんですかこの尾鰭は。
とても雅。

ちゃ~んと4本に分かれてます。
ということでクロスジギンポちゃんでした。
たまらんですね。
そして今日は1200本記念!
今日は数の暴力でめちゃめちゃ飛んでます!
一瞬顔が見えなくなるのがミソです。
まだまだ楽しみ続けてください!
そんな感じで1日終了です。
明日も晴れると良いですね。
それではひびきでした(^^)/~~~
本日の画像は【あさ子】さんのお借りしました。
ありがとうございました。
コメントを書く
←「キンメが増えてきました!」前の記事へ 次の記事へ「2025年 スタッフ紹介 6月」→























最近のコメント