水温上がってきてますよー!
水温 26℃
本日のポイント
1本目 石垣島:ハナゴイリーフ
2本目 石垣島:マンタシティ
3本目 石垣島:ビッグアーチ
皆さん、こんにちは!まなみです。
今日はモスダイバーズさんに乗合させていただきました!
マンタを求めて北上コースです!

まずは大崎で1本!
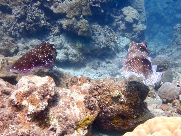
そろそろコブシメシーズンは終わりかな?と思ってましたが、
まだまだ産卵で盛り上がっておりました。
産卵中のペアと、求愛なのか
メスを追いかけるオスのペア。
コブシメシーズンまだ終わらなさそうですね(゜o゜)
それとも、急に別れがくるのか?

ここのハダカハオコゼはうまく擬態しています。
見つかるときと、見つからないときが。
今日は私の勝ち( *´艸`)

その目線の先にはサロンパスことスミレナガハナダイ幼魚!
生まれは皆メスなので、サロンパスは貼っていません。
久しぶりに会いましたが、
別の場所ではかなり増えてきているんだとか!

本日のマンタは1枚!
なんですが、いつものメインでホバリングしない子でした!
ふぅーっと移動中に目の前にやってきて、
向かいの根でホバリング(^^;)
いつもより近くで見れたので
それはそれでとてもラッキーでした!

そんなマンタをジロっと見つめているのは
アカネダルマハゼ。
この画角、すごく面白いですね( *´艸`)
こっちも見てくれていいんやで~
そんな声が聞こえてきました。
でも、あなた撮るの難しいのよー!

ラストは地形で〆!
太陽ばっちり出ていたので、
光のカーテンゆらゆらで綺麗でした!

時々、魚の体を掃除している
ニセアカホシカクレエビ。
いや、この子はなかなか動きません(笑)
小さい体の子たちが働き者のようです。
たまーにクマノミのイソギンチャクに
ついていることもあるので探してみて下さい!

白化イソギンチャクに住むニモちゃん。
この暑い時期にこのイソギンチャクを見ると
ちょっとそうめんにも見えてきたり・・・。
私の目がおかしいのかもしれません(^^;)
そうめんが食べたくなるくらい暑い石垣です。
水温もそろそろ27℃に。
夏の石垣島が待ってますよー\(^o^)/
本日も1日ありがとうございました!
明日も元気に行ってきます!
本日の画像は【町田さん】にお借りしました。
ありがとうございます!























最近のコメント