欲を出してさらに!
2014/09/10 :ダイビング
めだか
水温 30℃
連日のマンタ狙い!
8月は1度しか行かなかったマンタですが、9月に入り人気上昇中です。
昨日は2枚見れたので今日はもっと見たいですね~!
まずは1本目<崎枝ビッグアーチ>です。
海は真っ青!

潮の時間が良く透明度は25Mかな?
だ~れも来ないのでポイントを貸切。
大きなアーチに差し込む光がキレイでした。

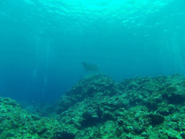
2本目は<マンタシティ>です。
昨日は2枚!今日は何枚みれるんでしょうか?
期待を胸にエントリーしましたら・・・

合計4枚のマンタがメインの根でぐるぐるぐるぐるぐるぐる~っと
ホバーリングしてくれました。
マンタをバックに記念撮影も出来ました。

エントリーして30分でなかったので焦りましたが
出て安心しました。
3本目は<オープンハート>。
心の澄んだ人には<ハート型>に見える穴があります。

皆さんにはどう見えますか?僕にはしっかり<ハート型>に見えますよ。
地形も楽しいですが、穴の中にリュウキュウハタンポが群れてるので
ライトに反射してキレイです。
運良くカメにも会えたので内容の濃いダイビングとなりました。
それにしてもベタ凪の毎日ですが、少し気温が下がってきたような気がしました。
夏から秋に向ってるのかな?
本日の写真は<松澤さん>にお借りしました。























最近のコメント