マンタ3枚おります!
2025/05/14 :ダイビング, ブログ
水温 25℃
本日のポイント
1本目 石垣島 ハナゴイリーフ
2本目 石垣島 ビッグアーチ
3本目 石垣島 マンタシティ
皆さんこんにちは。びっきー事、響です。
今日は島周り!
最近雨が凄かったので、透明度が悪いであろうと避けてたんですが、
マンタを見るために北上、という事で避けられない道なんですね。
思ったより?マシなような気もしますし、思ったより良くない様な気もします。
これから伸びしろがある透明度だと思えば、いいように聞こえますね。

コブシメはもう産卵終わりかな~。
根に乗ってる子は確認できず、オス1メス2でみんなばらばらの場所に。
五月2週目ですもんね。別れは唐突。

このヤマブキハゼめっちゃ不機嫌顔で良いですね。
こんなに口元「へ」の字に見えるもんですか。
これはこれで可愛い。

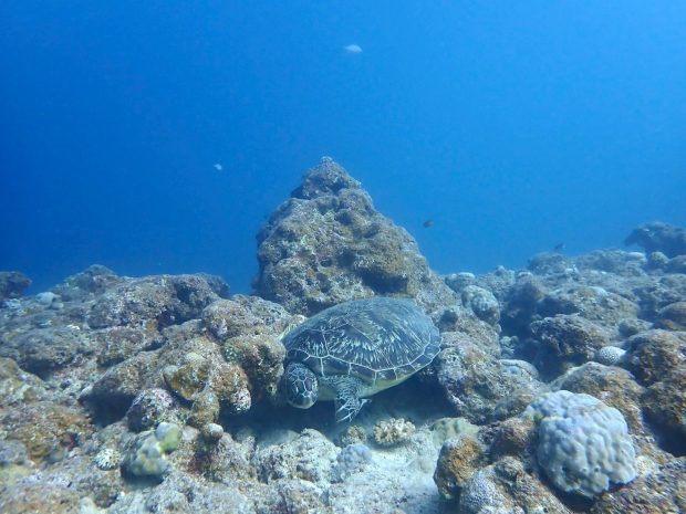
カメもいてくれたようです。
ここが最近のお気に入り。
たまに首捻挫するんじゃないかなって体勢で寝てます。

ビッグアーチは久しぶりですね~。
太陽がまぶしゅうてございます。
そう。ちょっと白い方がカーテンっぽさが出て良いんですよ。

白化したままのイソギンチャク。
白化はしてるけど触手にハリはあって元気そう?
慣れたんですかね。

マンタは3枚登場!
気付かなかったんですが、根に向かう時に
僕の上をばれない様にマンタが飛んでいたそうです。
プリウスぐらい静かなんで気付けませんでした。
そして~1900本!!!!!
おめでとうございます!
1900まできたら2000まで!
楽しみ続けてください!
そんな感じで1日終了です。
明日も晴れると良いですね。
本日の画像は【松尾さん】【牧野さん】にお借りしました。
ありがとうございました。
コメントを書く
←「今日は竹富エリア」前の記事へ 次の記事へ「パナリで求愛マンター!」→























最近のコメント