黒島マンタ!
もも
水温26度
久しぶりの海~☆\(^o^)/
今日はシーフレンズさんに乗合させていただいてマンツーマンで行ってきました♪(^^;
昨日の新入りも一緒に連れて行きました!笑
1本目≪宮良:まるべ石≫
入り口、と言われていた方向にエアがあったので、
そっちに行ってみると、、、あれ?私の知ってるまるべ石じゃない|д゚)
でも地形がおもしろくていい感じ♪
あとは小さくてかわいいものを中心に見てきました(*^^)v
まずは試し撮り。
お花みたいでかわいいですよね♪
これは左側がフラッシュ当たるカメラなんですね。
サンゴの隙間にいた小さいカニ!!!
小指の爪より小さいくらい!!!
前のレンタルカメラだったら、サンゴの中の生物を撮るのは難しかったのですが
撮 れ る(*ノωノ)
適当に押してこれだけ写っていれば、きちんと狙えばもっといいのが撮れるんだろうな♪
楽しいですね!(≧▽≦)
ガレ場の石をめくってみたらカニさんが!
いたのですが、私がひっくり返すと私からは見えないところに動いてしまう((+_+))
何度やっても姿を確認することができず(;´Д`)
でもAさんはしっかり見ることが出来たのでよかったです♪
ちっちゃいクマノミちゃん♪
このイソギンチャクちょっと気持ち悪いけど
触手が短いのでクマノミがよりかわいく見えるんですよね(´▽`*)
タイヤが自然に一体化してました!
そこにいたちっさーーーいシマキンチャクフグがめちゃくちゃかわいかった(≧▽≦)
写真を撮ろうとしたらタイヤの影に隠れてしまいました(;_;)
いつもと違うまるべ石もおもしろかったです☆
マスクにずっと水が入っていたAさん。
上がってからどうされたのか聞くと
「笑いすぎちゃった」と(@^^)/~~~
楽しんでいただけたようで本当に嬉しい一言でした(*‘ω‘ *)
到着の方がいらしたので一度港へ。
それからびゅーん★と、黒島まで行ってきました♪
2本目≪仲本ケーブ≫
船長が潮を見てマンタがいそう!ということでこちらのポイントへ♪
マンタが来るか来ないかはみなさんの日頃の行い次第ですけどね!
流れてるぅー((+_+))
カスミチョウチョウウオがとっても群れていてきれいでした♪
深場にしかいないハナゴンベ!
小ぶりで色がキレイですっごくかわいかったの!ですが
写真を取ろうとするとすぐに穴に隠れてしまう(;_;)
しばらく粘りましたがやっぱりカメラを構えた瞬間隠れてしまいました(;_;)
あたしも写真嫌いだけど、それ以上にあの子は嫌いなんだなぁ、と。
流れに逆らってゆっくり泳いでいたのですが、もう進むのは限界だ!と思い
壁を伝ってそこにいる子たちをじっくり見てきました♪
なにもいないけど、お星さまみたいでかわいい★
パンダ顔?のチョウハン
ヤリカタギ
他にもゴマチョウチョウウオやウミヅキチョウチョウウオを見てきました♪
さて、上がろ~と思ったら
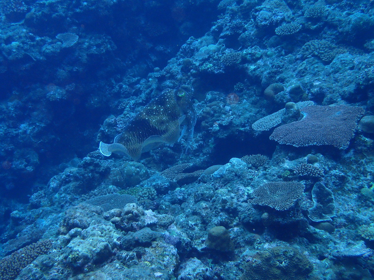
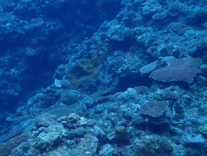
コブシメ!!!
おっきい子が2匹♪
何人前のイカだろう?(^-^;
お昼ご飯を食べのんびり~
して私はお手洗いへ行き、戻るとみんながガヤガヤ!
水面にマンタ発見(≧▽≦)
捕食にきたようです♪
徐々に船に近づいてくる~!
ということで、3本目もそのままここで潜ることに!(*^^*)
3本目≪仲本ケーブ≫
マンタのいた方向へひたすら泳ぐ、、、
ひたすら、、、、、
あれ?((+_+))
先に潜っていたチームが戻ってきてる( ゚Д゚)
どゆことだー、、、と不安になりつつそのまま進む、、、、、
グルクンがすごい数!!!
海の青がきれい♪
いた~っ(≧▽≦)
今までタイミングが合わず5度目の正直で石垣に来られたAさん!
せっかくだからマンタが見たい、とおっしゃってたので本当によかったです(≧▽≦)
ハナゴイのオスがひとりぼっち、、、
たまたま口開けてるじゃないですか~♪(*^^*)
アカヒメジとノコギリダイが群っれ群れ!!!
正面から
横から
斜めから
後ろから
群れに突っ込むの気持ちいい★
門の番人!アカククリ。
その先にはリュウキュウハタンポがライトを当てるとキラキラ♪
ウコンハネガイもキラキラ…というよりはビリビリ!?(^^
最後はハマクマノミと戯れてきました♪
私にはそんなに寄ってこないのに、Aさんにはめっちゃ寄ってってました(*ノωノ)
また笑ってマスクに水が(≧▽≦)
楽しい1日でした~(*´▽`*)
明日はオデッセイで行ってきまーす(@^^)/~~~
2016年度海外ツアー
クルーズ船をチャーターしてジンベエザメを狙います!























最近のコメント