連休の天気が心配
2015/10/09 :ダイビング
めだか
水温 28℃
明日から北風。
その前に、北風が吹くと潜れないポイントに行ってきました。
1本目は<ギャラクシーホール>

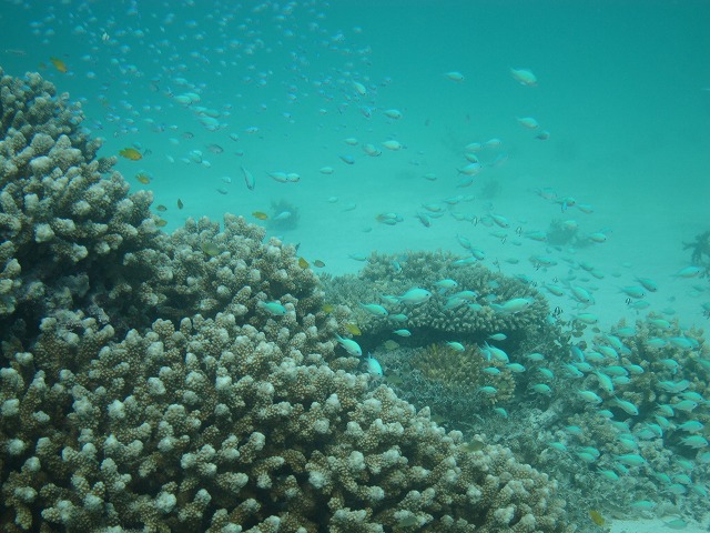
サンゴのキレイなポイントなんですが
この時期だけ、
長~?~い穴にテンジクダイが群れるんです。
スターウォーズ思わせる程、異次元に入ったような錯覚があります。
動画を録ればよかったのですが・・・ゴープロを忘れてしまいました。
悔しいので次回こそ!
映像でご案内させて頂きます。
2本目は潮のタイミングを見て<スズメダイハウス>です。
ここはワイドもマクロも楽しいポイントです。
メインの根にはピンク色のイソバナがついており

その周りをスカシとキンメが群れています。

ちょっとした魚がキレイに見えますね!

今日は<ハナヒゲウツボ>がいなかったのが残念ですが
ピンク色のハダカハオコゼはいました。

そして、浅場はスーパーサンゴ!

見事でした。
3本目はグ~っと戻って<浜島東>

透明度は・・・浜島らしい雰囲気でしたが
サンゴの群生と
デバスズメの数と体色変化に癒されました。

明日は何処へ行けるのかな?
せっかく楽しみに来られているお客様に楽しんで頂けるように
無理なく良いところを求めて行ってきます!
本日の画像は《板倉さん》にお借りしました♪
━☆・‥…━━━☆‥…━━━☆‥…━━━☆・‥…
コメントを書く
←「ジタバタ☆」前の記事へ 次の記事へ「お天気なんて関係ない☆」→























最近のコメント